3.1 C
Bistrița
joi, decembrie 11, 2025

Liber la circulație pe noul pasaj transformat în acces auto! Care era planul inițial:

Strada Lupeni din municipiu avea un singur punct de ieșire, ceea ce îngreuna traficul în zonă. Așa se face că viceprimarul Cristian Nicolae a venit cu propunerea transformării unui pasaj în acces auto. Doar că planurile de acasă nu se potrivesc cu cele din târg. Totuși, bistrițenii vor trebui să fie mulțumiți cu ceea ce primesc:

Pasajul III a fost transformat în stradă cu sens unic, pentru a facilita ieșirea de pe strada Lupeni. Ideea i-a venit viceprimarului Cristian Niculae după ce a văzut cât de greu e cu parcarea din zonă și cu faptul că strada are un singur punct de ieșire.

Totuși, ideea inițială nu s-a concretizat.

Ideea mi-a venit încă de anul trecut. Doar că lucrările nu s-au putut efectua mai repede din cauza avizelor și aprobărilor. Fiind vorba de centrul orașului, de o zonă istorică etc. Mai mult, am vrut să cumpărăm, ca municipalitate, o casă de pe pasaj, să o dărâmăm și să transformăm pasajul în acces auto cu două sensuri. Dar în ultimul moment proprietarul casei s-a răzgândit. Așa că nu ne-a mai vândut imobilul. Deci pasajul nu l-am mai putut transforma decât în acces auto cu sens unic”, a declarat, pentru Bistrițeanul.ro, viceprimarul Cristian Nicolae.

Inițial, pasajul ar fi trebuit să fie deschis doar după ce se finalizau anumite lucrări.

„Deși e gata și se poate circula pe el, pasajul-acum stradă, va putea fi folosit după ce se finalizează și reconfigurarea sensului giratoriu de la intersecția cu Zimbrului. Sperăm cât de repede să putem finaliza lucrările”, a explicat viceprimarul.

Totuși, municipalitatea a hotărât ca de azi să se poată folosi noul exit de pe Lupeni.

„Începând cu data de 31.08.2018 se deschide o nouă cale de acces auto pentru autovehiculele care ies din parcarea amenajată pe str. Lupeni. Pasajul auto nou creat are sens unic și face legătura între str. Lupeni și B-dul Republicii”, au anunțat aceștia.

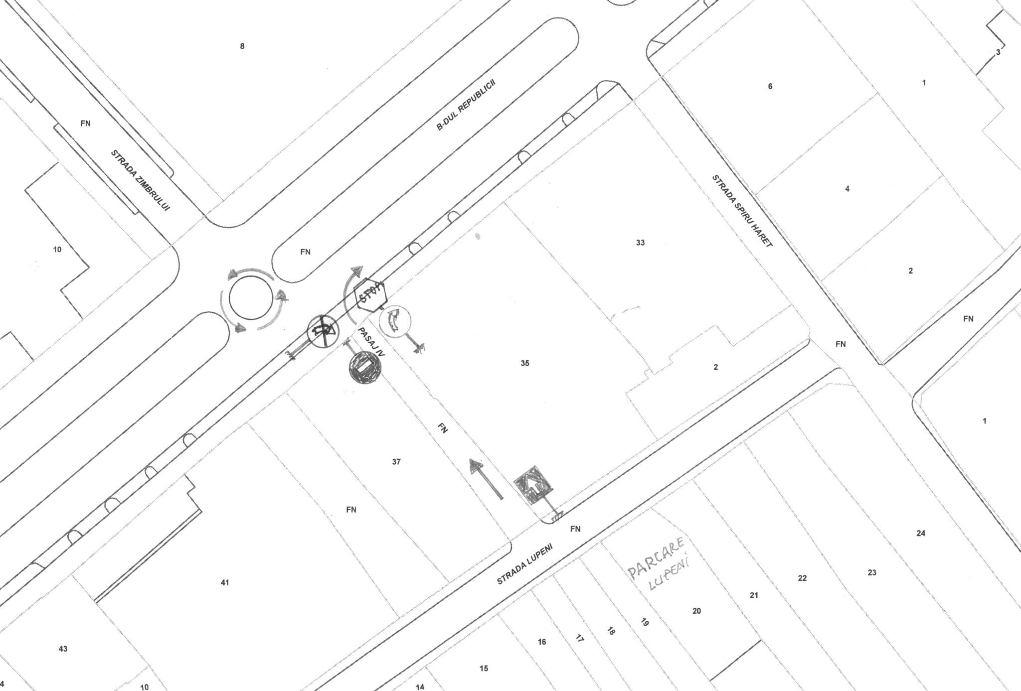
Circulația se va desfășura cu respectarea indicatoarelor rutiere amplasate, conform schiței de mai jos. Aceasta, până când se va reuși reconfigurarea sensului giratoriu, lucrare mai amplă a cărei termen de execuție e mai lung.

 

 

ARTICOLE SIMILARE

Ultimele Știri

Sponsorizate

Se fac angajări la AQUABIS: Posturi disponibile în Bistrița, Beclean, Năsăud și Bârgău

Aquabis caută tehnician în cadrul Secției Apă Canal Năsăud, dar și încasator și cititor contoare la Bârgău. Posturi disponibile și la Năsăud și Beclean! NOI locuri de muncă, în Bistrița, la ARCSIM Construct, Sanovil, Fan Courier sau Crama Jelna. Lista completă, mai jos:  

Primul floromat și pe Valea Bârgăului, de la Florăria Deny! Îl găsiți plin de buchete, non-stop, lângă Profi, în Prund!

Flori non-stop pentru toată Valea Bârgăului, începând de ieri, de la Florăria Deny, care a amplasat...

Restaurantul Decebal, disponibil pentru închiriere: Afacere la cheie

Complex Decebal SA anunță disponibilitatea spre închiriere a Restaurantului Decebal. E vorba despre o afacere complet funcțională, situată într-o zonă cu vizibilitate excelentă, în centrul municipiului Bistrița.